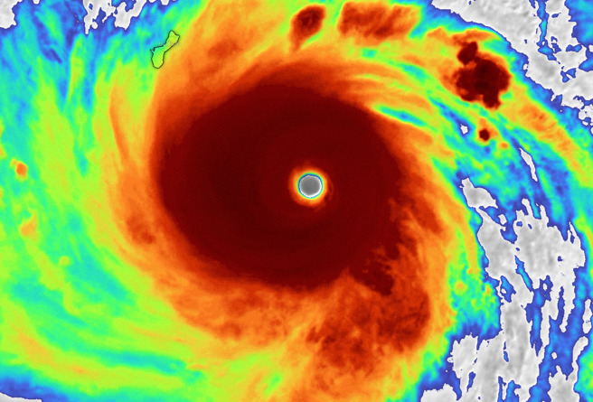
今年第2号中度颱风「玛娃」持续增强,其路径是否侵袭台湾,是许多人关注的焦点。有专家指出,玛娃颱风的核心相当扎实,即将成为今年第1个强烈颱风,并以「5级巅峰」的状态穿越关岛,其威力不容小覷,让专家也不禁直呼「瑟瑟发抖」。
脸书粉专《台湾颱风论坛|天气特急》今日下午发文指出,玛娃颱风目前已达中颱上限,其核心越来越扎实,将成为今年第一个强烈颱风,而美国联合颱风警报中心(JTWC)也已率先将其升格为4级热带气旋,玛娃将以5级巅峰状态穿越关岛,让该粉专直呼「瑟瑟发抖」。
该粉专进一步解释,台湾和美国评定「玛娃」的强度出现差异,主要是评定方式的差异,台湾是依据每10分钟最大持续风速,美国则採用每1分钟最大持续风速判定。
值得关注的是,该粉专稍早也发文指出,玛娃颱风后期路径不确定性高,「整体来说,北转是大趋势,就看太平洋高气压能硬挺多久,决定玛娃北转时间点」。而根据主流预报,玛娃颱风的三种可能路径对台湾天气的影响也截然不同。
首先是机率偏高的「转向东北」,由于颱风外围沉降气流吃到饱,中、南部气温会明显升高,体感炎热,只有北、东部受外围环流些许降雨;再者是中等机率的「贴近台湾」,若直接侵袭台湾,其时间点可能落在本月30日前后,「乾旱压力大大解除,但灾害可能无法避免」。
最后,该粉专提到,最低机率的「穿越吕宋北部」,颱风外围沉降气流吃到饱,西部地区都很热,只有东部、恒春有些许降雨。不过该粉专也强调,「目前看法55波」,仍要等后续观测资料才能拚断其影响程度,直说「稍安勿躁,继续看下去」。
发表意见
中时新闻网对留言系统使用者发布的文字、图片或檔案保有片面修改或移除的权利。当使用者使用本网站留言服务时,表示已详细阅读并完全了解,且同意配合下述规定:
违反上述规定者,中时新闻网有权删除留言,或者直接封锁帐号!请使用者在发言前,务必先阅读留言板规则,谢谢配合。