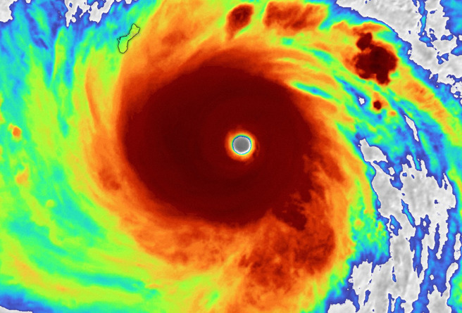
玛娃颱风昨(23)日20时升级为强烈颱风,不过气象局最新资料显示,今日14时玛娃已经转弱为中颱,主要是因为行经关岛地区时,颱风结构遭到破坏,预估明(25)日清晨还会持续累积能量,有机会再发展成强烈颱风。
根据《三立新闻网》报导,气象局预报员陈伊秀表示,玛娃颱风目前仍处于中颱上限,其结构在今日14时笼罩关岛时被略微破坏,中心强度从8时的每秒51公尺降成每秒48公尺。
值得注意的是,虽然玛娃颱风在未来6小时通过关岛时,强度仍维持在每秒48公尺,根据观测模式来看,12小时后有机会再度发展成强烈颱风,明日清晨时可以特别留意。
气象局今日14时的资料显示,玛娃中心位置在北纬13.6度,东经145.2度,以每小时15公里速度,向西进行。中心气压930百帕,近中心最大风速每48公尺,瞬间最大阵风每秒58公尺,七级风暴风半径220公里,十级风暴风半径80公里。
脸书粉专《台湾颱风论坛|天气特急》也指出,玛娃穿越关岛后会有机会再度增强,「直攻第二次巅峰」,下周一(29日)颱风抵达台湾东南方时,正好位于太平洋高压边缘,此时高压的持久度尤其重要,转向时间点及位置预计会在这里发生,是非常关键的转折点,决定中南部乾旱命运的十字路口。
发表意见
中时新闻网对留言系统使用者发布的文字、图片或檔案保有片面修改或移除的权利。当使用者使用本网站留言服务时,表示已详细阅读并完全了解,且同意配合下述规定:
违反上述规定者,中时新闻网有权删除留言,或者直接封锁帐号!请使用者在发言前,务必先阅读留言板规则,谢谢配合。