「绝对不可掉以轻心」,这是专家们连日来对玛娃颱风的呼吁,由于其威力非常可观,儘管距台湾仍远,已要开始防颱准备。玛娃昨减弱为中度颱风,今早重返强颱,且「更猛烈」。最新路径显示它走到台湾东部外海时,会逐渐向东北大迴转;部分模式模拟,不排除对台湾有较大威胁,得密切注意!
中央气象局指出,玛娃已通过关岛附近海域,过去稍减弱为中颱,因海温偏高、环境有利发展,已再度发展为强颱;日本甚至认为「它会是一个猛烈颱风」。
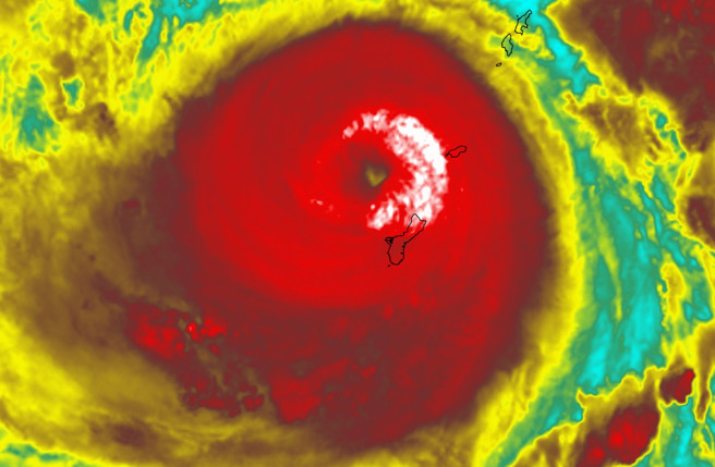
玛娃中心眼重整,出现一个「爱心图案」,但这颗爱心不怀好意,号称关岛20年来遇过最强的颱风。气象专家吴德荣在《三立准气象-老大泄天机》专栏撰文,玛娃5天后将来到转向点附近,路径出现变化。
一般来说,当颱风转弯前,速度会明显放慢,届时距离台湾多远,就成了它威胁程度多寡的关键。吴德荣指出,玛娃接近巴士海峡时,会转往东北来个大迴转,不过还是有一部分模式,把它做在台湾东部,「这样走影响就比较大了」。
今受锋面残余云系影响,北部、中部山区有零星降雨。各地气温:北部21至31度、中部22至34度、南部23至35度、东部20至34度。今起至28日受高压环流影响,各地多晴朗,山区午后有对流发展。
发表意见
中时新闻网对留言系统使用者发布的文字、图片或檔案保有片面修改或移除的权利。当使用者使用本网站留言服务时,表示已详细阅读并完全了解,且同意配合下述规定:
违反上述规定者,中时新闻网有权删除留言,或者直接封锁帐号!请使用者在发言前,务必先阅读留言板规则,谢谢配合。