今年第2号颱风玛娃声势惊人,减弱为中颱不到1天,再度转为强颱。脸书粉专「台湾颱风论坛|天气特急」分享,玛娃颱风眼外围「根本铜墙铁壁」,破坏力很惊人,千万要小心!
日前已有气象专家发出警告,今年梅雨季恐怕因颱风搅局,导致锋面无法为台湾带来降雨,没想到玛娃极可能验证上述说法。减弱不到24小时,一度变成中度颱风的玛娃「转骨成功」,25日上午再度增强为强烈颱风。
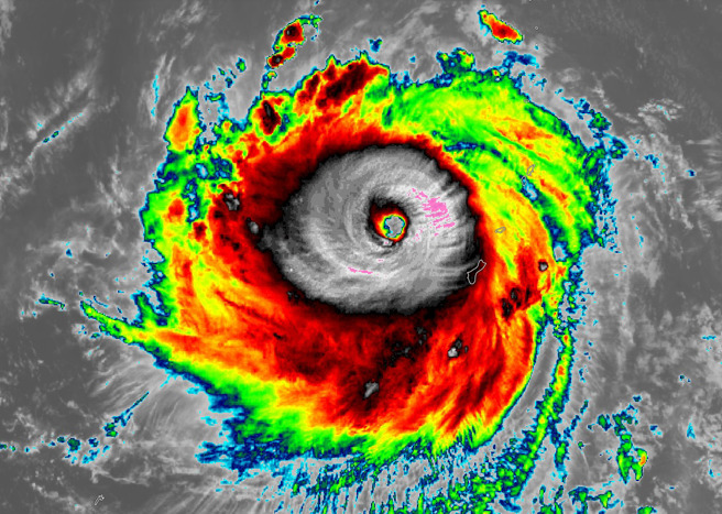
「台湾颱风论坛|天气特急」指出,玛娃不仅回到强颱等级,且变得更紧实强壮,从云图上可看到颱风眼外围的颱风核心巩固得非常完整,「犹如铁墙一般」。
儘管目前看来,强颱扑向台湾的机率较低,但粉专强调,玛娃将挑战5级热带气旋,破坏力会很惊人,绝对要严阵以待。
发表意见
中时新闻网对留言系统使用者发布的文字、图片或檔案保有片面修改或移除的权利。当使用者使用本网站留言服务时,表示已详细阅读并完全了解,且同意配合下述规定:
违反上述规定者,中时新闻网有权删除留言,或者直接封锁帐号!请使用者在发言前,务必先阅读留言板规则,谢谢配合。