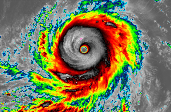
今年第2号颱风玛娃持续以强颱姿态移动中,由于所经之处「几乎没有对手」,强度又增加了。根据美军联合颱风警报中心观测,玛娃平均风速达每秒82公尺,成为有纪录以来的五月最强颱!
天气粉专「台湾颱风论坛|天气特急」PO文分享,隶属美军的气象单位联合颱风警报中心,再度调升玛娃强度,1分钟平均风速约每秒82公尺,正式成为西北太平洋于5月时的最强颱风;在全年度风王排行榜上,也占有一席之地。
中央气象局估计下周一(29日)是关键,不排除发布海上颱风警报,也不排除陆上警报,两者机率都存在,前者较高。
「每秒82公尺,真是令人诧异的数字」,许多网友直呼玛娃威力惊人,互相提醒做好防颱准备,也希望颱风往缺水的中南部去,「说真的,云图看起来好美,但真正威力,还是不要领教比较好」。
发表意见
中时新闻网对留言系统使用者发布的文字、图片或檔案保有片面修改或移除的权利。当使用者使用本网站留言服务时,表示已详细阅读并完全了解,且同意配合下述规定:
违反上述规定者,中时新闻网有权删除留言,或者直接封锁帐号!请使用者在发言前,务必先阅读留言板规则,谢谢配合。