搜尋結果

以下是含有級風暴風半徑的搜尋結果,共35

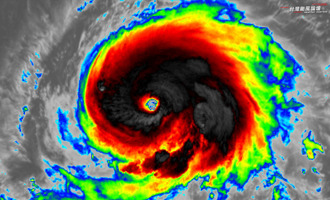
  • 鄭明典警告3地區小心 樺加沙強度破表成「超級颱風」

    鄭明典警告3地區小心 樺加沙強度破表成「超級颱風」

    強颱樺加沙今、明(22、23)兩天對台影響最劇烈,近中心風速達到每秒58公尺,相當於17級風以上,七級風暴風半徑更達到320公里,前氣象局長鄭明典今日起了個大早,指出樺加沙的強度來到巔峰,甚至達到颱風聯合警報中心「超級颱風」的標準,特別提醒台東、屏東及南花蓮的民眾注意。

  • 樺加沙轉強颱 高屏、東部防豪雨

    樺加沙轉強颱 高屏、東部防豪雨

     樺加沙颱風21日增強為強烈颱風,中央氣象署發布海上及陸上颱風警報,預估今、明日對台灣影響最明顯,颱風圈可能在今天中午前掃過恆春半島,南部山區與東部都要慎防豪雨,至周三白天颱風影響明顯變小。受颱風影響,屏東縣枋山、車城、恆春、獅子、牡丹、滿州等6鄉鎮與台東縣蘭嶼、綠島2鄉鎮,今天停班停課。

  • 今年首個強烈颱風誕生!浣熊快樺加沙一步 超級小鋼炮恐怖雲圖曝

    今年首個強烈颱風誕生!浣熊快樺加沙一步 超級小鋼炮恐怖雲圖曝

    第18號颱風中颱「樺加沙」進入爆發期,強度快速增長,但在東北方的另一個19號颱風浣熊,就在稍早中央氣象署已將其升格至強烈颱風,成為2025年第一個強烈颱風,雖然暴風半徑僅180公里,但結構非常紮實且完全對稱,可說是名符其實的「超級小鋼炮」。

  • 快訊》氣象署14:30發陸上颱風警報 首波警戒區曝

    快訊》氣象署14:30發陸上颱風警報 首波警戒區曝

    中度颱風楊柳高速朝台灣移動,中央氣象署預計在今(12)日下午2時30分發布陸上颱風警報,首波警戒範圍涵蓋花蓮、台東、高雄及屏東,且楊柳的七級風暴風半徑還在擴大中,明天一整天的風雨最為劇烈,提醒民眾多加注意。

  • 天氣》「小鋼砲」楊柳恐海、陸警齊發 北部縣巿暴風侵襲機率曝

    天氣》「小鋼砲」楊柳恐海、陸警齊發 北部縣巿暴風侵襲機率曝

    楊柳颱風逐漸逼近台灣,氣象專家林得恩表示,在環境駛流場導引下路徑略往南修正,中心登陸機率大增,宜花地區首當其衝,未來120小時颱風暴風侵襲機率預測,北台多縣市也在列,包括台北市、新北市、桃園市、花蓮縣、基隆市等,最快周二發布海警,並緊接著發布陸警,提醒民眾嚴防強風豪雨。

  • AI大戰電腦 楊柳路徑預報差異大 專家:11日揭曉答案

    AI大戰電腦 楊柳路徑預報差異大 專家:11日揭曉答案

    第11號颱風楊柳持續朝台灣東部海域前進,氣象專家賈新興表示,楊柳的七級風暴風半徑將在下周一、下周二達到極限,上看150公里,但各國官方預報路徑與AI預測路徑有明顯的差異,若楊柳未來走向偏北會減弱得較快,讓他很好奇哪方技高一籌。

  • 找死?丹娜絲直衝中央山脈颱風眼消失 粉專:換3縣市搖滾

    找死?丹娜絲直衝中央山脈颱風眼消失 粉專:換3縣市搖滾

    中度颱風丹娜絲6日晚間11:40登陸嘉義布袋,為中南部地區持續帶來驚人風雨,但路徑則再度出現變化,中心直衝中央山脈,目前位於南投上空,威力也略為減弱,不過結構仍屬完整,到了清晨,換桃園、新竹與苗栗迅速增強。

  • 輕颱「丹娜絲」凌晨生成!明後天影響台 防強風大雨

    輕颱「丹娜絲」凌晨生成!明後天影響台 防強風大雨

    輕度颱風丹娜絲今日(5日)凌晨2時生成,成為2025年第4號颱風,根據中央氣象署最新颱風動態顯示,路經曝光「恐侵襲台灣」。氣象署預估丹娜絲週日(7/6)至週一(7/7)最靠近台灣,外圍環流將帶來強降雨與大風。評估最快今天08:30就會發布海上颱風警報,預估今晚20:00前後,也會發布陸上颱風警報。

  • 中颱萬宜助攻東北季風 北台灣濕冷 下探16度

    中颱萬宜助攻東北季風 北台灣濕冷 下探16度

    中颱萬宜直搗菲律賓,儘管強度減弱,仍具高度威脅!氣象專家林得恩指出,東北季風在萬宜助威下,今起影響迎風面地區,北部氣溫溜滑梯,普遍跌破20度,最低溫下探16度。桃園以南,以及東部、外島等地,也有最強11級陣風出現!

  • 天兔要完...風速剩2公尺降級!登陸前恐先解除颱風警報 萬宜開眼了

    天兔要完...風速剩2公尺降級!登陸前恐先解除颱風警報 萬宜開眼了

    天兔持續減弱,目前暴風半徑只剩下80公里,風速更是只有可憐的每秒20公尺,距離熱帶性低氣壓只差2/ms,恐在登陸前就會降級,與之相反,位在菲律賓東南方海面的萬宜颱風不斷增強,且已經開眼。

  • 天兔第一波風雨來了!3縣市雨勢升級 發布豪雨特報

    天兔第一波風雨來了!3縣市雨勢升級 發布豪雨特報

    天兔颱風暴風圈已於今(15日)16:30接觸到恆春半島陸地,第一波風雨也現身,氣象署針對花蓮、台東、屏東發布豪雨特報,其中台東、屏東為豪雨等級,預估日雨量將達到250至340毫米。

  • 天兔快速減弱轉輕颱 抵台可能變熱低壓

    天兔快速減弱轉輕颱 抵台可能變熱低壓

    環境不利發展,天兔颱風快速減弱,15日凌晨已轉為輕度颱風。氣象專家吳聖宇指出,15日傍晚起,台南以南、南花蓮、台東地區風雨加大,實際情況要看颱風強度而定。

  • 關鍵24小時 天兔不排除衝過頭 從南部登陸

    關鍵24小時 天兔不排除衝過頭 從南部登陸

    發颱風警報了!天兔選在「立冬」後來襲,再度挑動民眾敏感神經。氣象粉專「台灣颱風論壇|天氣特急」提醒,萬一天兔衝過頭,不排除它從恆春、屏東登陸,未來24小時將是關鍵。

  • 又見「超級颱」 天兔挑戰自我極限 暴風圈掃3縣市

    又見「超級颱」 天兔挑戰自我極限 暴風圈掃3縣市

    都11月中旬了還有颱風警報,甚至可能再度遭遇強烈颱風!中央氣象署今天清晨發布天兔海上颱風警報,最快今晚發布陸上颱風警報,預估明、後兩天最接近台灣,且中心不排除登陸,3縣市包括屏東、台東、花蓮須嚴加戒備!

  • 中央山脈太猛!康芮從強颱變輕颱下限僅過10小時 即將煙消雲散

    中央山脈太猛!康芮從強颱變輕颱下限僅過10小時 即將煙消雲散

    21號颱風康芮以強颱之姿登陸台灣,在各地釀成災情,就連北市也有超過1000件災害通報,但「護國神山」中央山脈再度發威,短短10小時就讓康芮減弱至輕度颱風下限,即將成為熱帶性低氣壓。

  • 台鐵北迴線又中斷!和仁=崇德大量土石淹軌 搶通時間曝

    台鐵北迴線又中斷!和仁=崇德大量土石淹軌 搶通時間曝

    康芮颱風逐漸遠離台灣,颱風侵襲期間,台鐵採預警性停駛,因風雨強勁,造成台鐵多處路段設備受損,其中北迴線「和仁=崇德」路段又再次因土石流中斷,預計11月2日首班車前才能搶通,另台鐵也公布1日各線營運調整情形。

  • 康芮颱風眼超完整!他嚇喊像災難片《明天過後》 網全抖爆

    康芮颱風眼超完整!他嚇喊像災難片《明天過後》 網全抖爆

    強颱康芮來勢洶洶,全台各地有明顯風雨,一名男子見康芮颱風眼圖,被厚實的眼牆嚇到,驚喊像在看災難電影《明天過後》,提醒大家注意安全,網友看了照片也直呼很抖。

  • 強颱康芮狂奔!暴風圈已壟罩半個台灣 12縣市豪雨特報

    強颱康芮狂奔!暴風圈已壟罩半個台灣 12縣市豪雨特報

    強烈颱風康芮目前中心位在鵝鑾鼻東南東方約180公里海面上,以每小時28轉19公里速度持續朝西北前進,其暴風圈已經壟罩東部、南部地區,蘭嶼更出現17級狂風,預估今(31日)下午2時至3時左右就會登陸。

  • 康芮升強颱只花18小時 最新風場圖曝光「紫到發白」 粉專:真的不妙

    康芮升強颱只花18小時 最新風場圖曝光「紫到發白」 粉專:真的不妙

    強颱康芮目前中心位在鵝鑾鼻東南東方約250公里處,其特大暴風圈已壟罩台東與恆春半島,氣象粉專也貼出康芮最新的風場圖,直呼真的不妙。

  • 颱風假放定了? 最新暴風圈侵襲率18地區100%

    颱風假放定了? 最新暴風圈侵襲率18地區100%

    強颱康芮7級風暴風半徑擴大到320公里,全台準備迎接近20年來範圍最大的登陸颱風,根據中央氣象署下午2時公布的最新120小時內暴風圈侵襲率,包括新竹縣、新竹市、苗栗縣、台中市、彰化縣、南投縣、雲林縣、嘉義市、嘉義縣、台南市、高雄市、屏東縣、恆春、台東縣、綠島、蘭嶼、花蓮縣、澎湖縣等18地區、合計15縣巿達到100%,其餘7縣巿暴風圈侵襲率也在96%以上。

回到頁首發表意見