中颱诺卢向西明天通过吕宋岛,气象局长郑明典表示,诺卢颱风很强很危险,对菲律宾威胁极大,对台湾无直接影响,天气粉专「观气象看天气」也指出,诺卢颱风让全世界各大气象机构都翻车,原先预期登陆吕宋岛前只是轻颱,但现在强度逼近美国飓风分级中的最高等级。

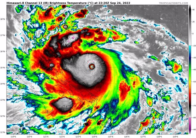
郑明典表示,诺卢昨天(24日)入夜后对流开始爆发,现在这个云系看起来就很危险。图为气象局卫星云图(撷自郑明典脸书)
郑明典表示,诺卢昨天(24日)入夜后对流开始爆发,现在这个云系看起来就很危险。图为气象局卫星云图(撷自郑明典脸书)

郑明典今天在脸书贴出2张最新卫星云图指出,第16号颱风「诺卢」昨天(24日)入夜后对流开始爆发,现在这个云系看起来就很危险,对菲律宾威胁极大。

「观气象看天气」脸书也表示,诺卢颱风让全球各大气象机构、超级电脑全翻车,诺卢颱风刚形成时,全世界都不看好其发展,都预测在登陆吕宋岛前最多只是一个很普通的轻度颱风,但诺卢现在的强度只差2KT(等于1.028公尺/秒)就可达美国国家飓风中心所定义的五级飓风最高等级,「观气象看天气」认为,这是因为刚形成的颱风只要所处的环境海水热量含量高、风切低就会持续增强,甚至爆发性增强,而诺卢颱风是一个很好的观察经验。

至于未来受否还有颱风,气象局表示,西北太平洋及南海上持续有颱风生成发展的机率,最可能在周五、周六(30日、10月1日)南边有水气上来,可能有热带扰动发展,也有增强成颱风的机会,需持续观察。

【季容气象报报】北东恒春仍易降雨 沿海留意强风长浪│中视晨间气象 20220925

#诺卢 #颱风 #郑明典 #菲律宾 #中颱