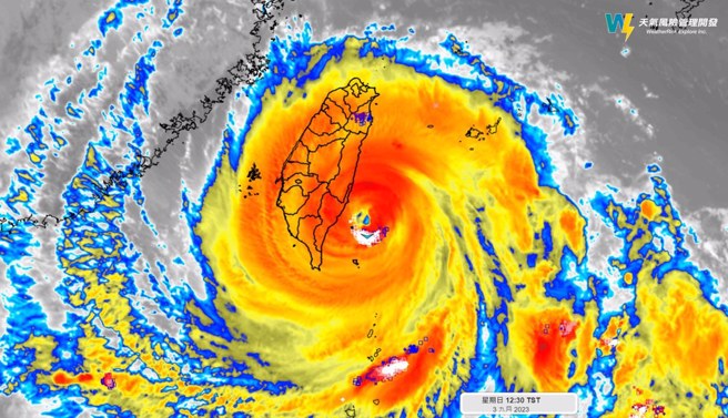
云林县政府傍晚6点宣布,云林县明天(9/4)停止上班及上课,已通报行政院人事行政总处,且已通知邻近嘉义市政府、嘉义县政府、彰化县政府、南投县政府、台中市政府。
云林县府原定晚间8点视中央气象局最新预报,再决定公布明日是否停班停课,不过傍晚6点多紧急宣布「明天(9/4)停止上班及上课」。
云林县政府傍晚6点宣布,云林县明天(9/4)停止上班及上课,已通报行政院人事行政总处,且已通知邻近嘉义市政府、嘉义县政府、彰化县政府、南投县政府、台中市政府。
云林县府原定晚间8点视中央气象局最新预报,再决定公布明日是否停班停课,不过傍晚6点多紧急宣布「明天(9/4)停止上班及上课」。
发表意见
中时新闻网对留言系统使用者发布的文字、图片或檔案保有片面修改或移除的权利。当使用者使用本网站留言服务时,表示已详细阅读并完全了解,且同意配合下述规定:
违反上述规定者,中时新闻网有权删除留言,或者直接封锁帐号!请使用者在发言前,务必先阅读留言板规则,谢谢配合。