目前位于鹅銮鼻东方的小犬颱风正往西朝台湾方向前进,威胁新竹以南、宜花东、澎湖等14地,气象署也发布海上陆上颱风警报。天气职人吴圣宇指出,由于环境太乾,小犬颱风的云雨带几乎都集中在10级暴风圈范围内,可能得等到颱风核心区域触陆才有雨势;气象粉专「台湾颱风论坛|天气特急」则警告,小犬颱风在过去3小时略为增强,登陆热区的台东、恒春半岛、屏东南部最好做好准备。

吴圣宇说明花东虽进入暴风圈,却没有降雨的原因。(翻摄自天气职人吴圣宇脸书)
吴圣宇说明花东虽进入暴风圈,却没有降雨的原因。(翻摄自天气职人吴圣宇脸书)

吴圣宇在脸书粉专发文说明,由于环境实在太乾,雷达观测上,小犬颱风的雨带几乎都集中在10级暴风圈范围内,7级暴风圈范围内看不到明显的云雨带,「连已经进入暴风圈内的花东地区都没有看到跟地形交互作用的降雨回波出现」,吴圣宇表示,虽然各地已经出现风势,「但是雨势可能真的要等到核心区域进入陆地才会快速累积了」。

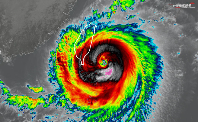
台湾颱风论坛指出,小犬颱风过去3小时略为增强,眼墙厚实。(翻摄自台湾颱风论坛|天气特急脸书)
台湾颱风论坛指出,小犬颱风过去3小时略为增强,眼墙厚实。(翻摄自台湾颱风论坛|天气特急脸书)

台湾颱风论坛则在脸书粉专提到,小犬颱风的风场很大,目前西部沿海已有大范围8至10级强阵风,内陆的都会区也有6至7级阵风,随着晚间颱风越接近,各地风势也会越强。

同时台湾颱风论坛分析,小犬颱风在过去3小时内略为增强,颱风眼墙相当厚实,「尤其颱风南半圈特别暴力」,因此台东、恒春半岛、屏东南部等登陆热区最好严加戒备。

#小犬 #吴圣宇 #颱风 #台湾颱风论坛 #降雨回波