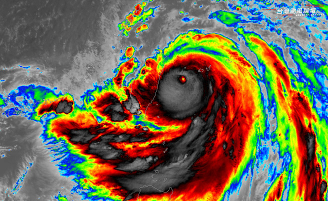
中央气象署今天上午11点30分将凯米颱风升级为强烈颱风,气象粉专表示,凯米强度快速增强,颱风核心即将接触台湾陆地,预计深夜左右以颠峰之姿在宜兰至北花莲间登陆,将是睽违8年首个登陆台湾的强烈颱风。
气象粉专「台湾颱风论坛|天气特急」发文指出,凯米颱风强度快速增强,已成为强烈颱风,颱风核心即将接触台湾陆地,预计今天深夜左右以颠峰之姿在宜兰到北花莲之间登陆,登陆地及周边民眾千万小心颱风最猛烈的破坏。
粉专提醒,颱风环流跟西南气流会同步影响,中、南部地区入夜开始一直到周五(26日)必须特别小心持续性的剧烈雨势。
另外粉专提到,上一个登陆台湾的强颱是2016年尼伯特颱风,如果凯米登陆,将是8年以来首个登陆台湾的强烈颱风。
发表意见
中时新闻网对留言系统使用者发布的文字、图片或檔案保有片面修改或移除的权利。当使用者使用本网站留言服务时,表示已详细阅读并完全了解,且同意配合下述规定:
违反上述规定者,中时新闻网有权删除留言,或者直接封锁帐号!请使用者在发言前,务必先阅读留言板规则,谢谢配合。