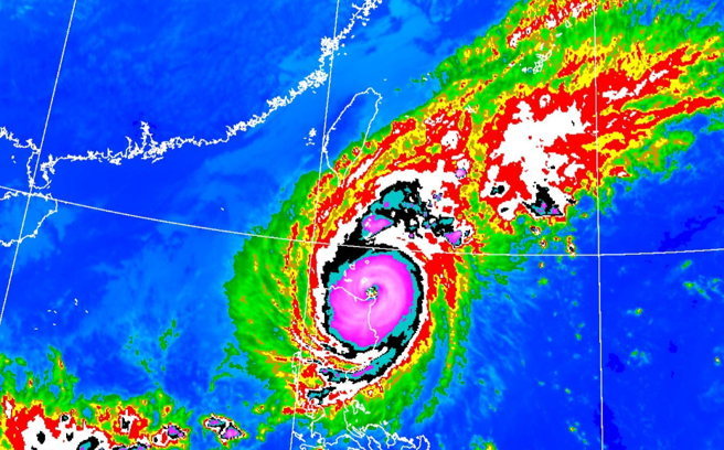
中央气象署观测,今年第22号颱风银杏今(7)日下午已升级为强烈颱风,未来路径以偏西的方向逐渐进入南海,直接影响台湾的机率不高,不过可能带来沿海长浪、强风及迎风面较强的降雨,今晚起东北部地区有局部豪雨发生的机率。
今日14时的银杏颱风中心位置在菲律宾北侧,以每小时11公里速度,向西进行。中心气压935百帕,近中心最大风速每秒51公尺,瞬间最大阵风每秒63公尺,七级风平均暴风半径180公里,十级风平均暴风半径70公里。
气象署表示,今晚起至明(8)日颱风外围云系及东北季风影响,今晚至明日清晨各地仍凉;基隆北海岸、东北部、东部地区及大台北山区有短暂阵雨,并有局部大雨发生的机率,尤其东北部地区有局部豪雨发生的机率,桃园以北、东南部地区、恒春半岛及北部山区有局部短暂阵雨,中南部山区亦有零星短暂阵雨,其他地区及澎湖、金门、马祖为多云到晴。
发表意见
中时新闻网对留言系统使用者发布的文字、图片或檔案保有片面修改或移除的权利。当使用者使用本网站留言服务时,表示已详细阅读并完全了解,且同意配合下述规定:
违反上述规定者,中时新闻网有权删除留言,或者直接封锁帐号!请使用者在发言前,务必先阅读留言板规则,谢谢配合。