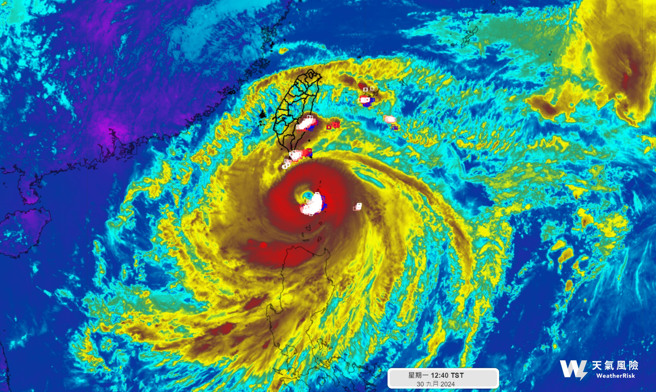
氣象署最新一報顯示,山陀兒颱風7級風暴風圈半徑在中午12時碰觸到恆春半島陸地,有可能升級為強烈颱風,氣象粉專「天氣風險」PO出一張圖,目前颱風中心附近出現非常密集的閃電訊號,持續增強中,將迎來第一次強度巔峰。
天氣風險指出,中颱山陀兒現在位於巴士海峽緩慢西行,預計明天到高雄南方海面後,受到北方槽線牽引,開始北轉、侵襲台灣。
天氣風險說,今天下午這個時間點,閃電監測系統看到颱風中心附近有非常密集的閃電訊號,顯示山陀兒颱風持續增強中,即將迎來颱風的第一次強度巔峰。從圖上可以看到,除了颱風中心附近出現密集白色閃電,就連恆春半島、花東地區也被密集閃電襲擊,出現大雷雨。
氣象署指出,山陀兒下午1時中心位於鵝鑾鼻南南東方約180公里處,以每小時9轉5公里的緩慢速度,向西北西轉西北進行,暴風圈已接觸恆春半島陸地,恆春半島、台東、屏東及高雄都在陸警範圍,預測登陸台灣以前是極強的中度颱風,且不排除升級成強颱,預估明天深夜至周三凌晨中心從南部登陸,明天到周四上半天影響最劇烈。
發表意見
中時新聞網對留言系統使用者發布的文字、圖片或檔案保有片面修改或移除的權利。當使用者使用本網站留言服務時,表示已詳細閱讀並完全了解,且同意配合下述規定:
違反上述規定者,中時新聞網有權刪除留言,或者直接封鎖帳號!請使用者在發言前,務必先閱讀留言板規則,謝謝配合。