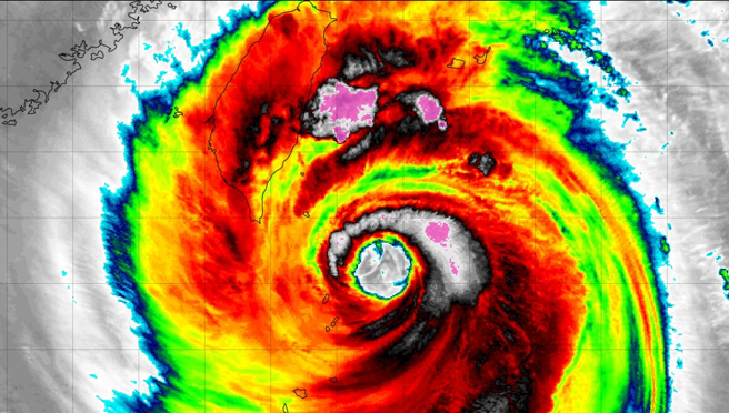
美國好萊塢電影《龍捲風暴》描述一群對龍捲風有狂熱的追風達人,預測、追逐、並對抗風暴的冒險過程。康芮強颱近日正肆虐全台,沒想到台灣竟然也有追風達人現蹤。有網友轉述兩位外國追風達人的快閃行程,迎接兩波眼牆、還在颱風眼內飛無人機,網友直呼:台灣追風超方便!
PTT有網友發文並PO出數張照片指出:「這兩位是追風達人James Reynolds(黃雨衣) 跟 Mark Thomas(藍雨衣)」
該網友描述兩位追風達人的旅程:「天剛亮就開始風雨直播」、「台東縣成功鎮巡田水,順便全家買吃的」、「在成功漁港迎接第一波眼牆前的拍照」、「颱風眼內居然能飛無人機O.O」、「趁著颱風眼內無風雨,有粉絲來上電視(英語對話)」、「第二波眼牆當下到二樓當起水電工」。
並透露他們最新足跡:「目前已經離開成功漁港,將行駛南迴公路前往高雄」。
鄉民表示「去高雄?(原PO:蘇花封閉吧。南迴只是交通管制跟車道調撥)」、「美國那些追龍捲風的更玩命...(原PO:追龍捲風的人都會提供資料給氣象站的樣子)」、「不用上班逆,跑來鬼島吹風」、「前往高雄是覺得高雄又要淹了嗎(原PO:應該是要開車回桃園等颱風離開後搭機,但是蘇花封閉所以改道行駛)」、「很有趣的追風達人,但要注意安全(原PO:他月初也有來追山陀兒,那次影片都是在車內拍攝)」、「台灣真的是追風達人最方便觀測的地方,水泥建築安全,到處都有超商可以補給」、「《龍捲風暴》看過」。
發表意見
中時新聞網對留言系統使用者發布的文字、圖片或檔案保有片面修改或移除的權利。當使用者使用本網站留言服務時,表示已詳細閱讀並完全了解,且同意配合下述規定:
違反上述規定者,中時新聞網有權刪除留言,或者直接封鎖帳號!請使用者在發言前,務必先閱讀留言板規則,謝謝配合。