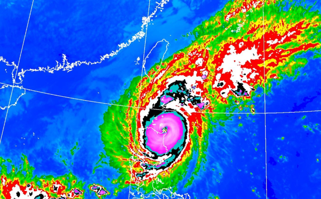
中央氣象署觀測,今年第22號颱風銀杏7日下午已升級為強烈颱風,未來路徑以偏西的方向逐漸進入南海,直接影響台灣的機率不高。14時的銀杏颱風中心位置在菲律賓北側。粉專「高雄林小姐」見銀杏路徑,質疑菲律賓颱風比台灣多、災情比台灣慘,真的適合政府跨海去種綠電嗎?
根據氣象報導追蹤,7日下午14時的銀杏颱風中心位置在菲律賓北側,以每小時11公里速度,向西進行。中心氣壓935百帕,近中心最大風速每秒51公尺,瞬間最大陣風每秒63公尺,七級風平均暴風半徑180公里,十級風平均暴風半徑70公里。
高雄林小姐7日發文附圖直呼:「銀杏果然去找菲律賓了!」
她質疑:這個颱風比台灣多、災情比台灣慘,明明和我們這麼近卻又關係不好的地方,真的適合政府跨海去種綠電嗎?
網友表示「在民進黨執政腐敗的情況下,任何政策沒有什麼適不適合的前提,而只有多少利益可以瓜分給底下貪婪者的問題」、「適不適合不知道,但有災損就調漲轉嫁,或許已有傭金產生且貪贓的執政黨必然同意調漲,所以…」、「這樣才有錢可以進口袋裡」、「目標是帶風向:1.政府努力開發電源。2.轉移注意力,綠電要在台灣種地,不然要被賺走了;電價就是這麼高(4元),以後價錢基本就被墊高,漲價就有依據⋯」
發表意見
中時新聞網對留言系統使用者發布的文字、圖片或檔案保有片面修改或移除的權利。當使用者使用本網站留言服務時,表示已詳細閱讀並完全了解,且同意配合下述規定:
違反上述規定者,中時新聞網有權刪除留言,或者直接封鎖帳號!請使用者在發言前,務必先閱讀留言板規則,謝謝配合。