搜尋結果

以下是含有銀杏颱風的搜尋結果,共36

  • 昔被專家笑會死在海上 萬宜強度破表成今年風王 遠超山陀兒、康芮

    昔被專家笑會死在海上 萬宜強度破表成今年風王 遠超山陀兒、康芮

    今年11月西太平洋四颱共舞,打破歷史紀錄,撇除即將消散的銀杏颱風,最不被看好的就是第24號颱風萬宜,當時各路專家預估很快就會消散,未料如今成為強烈颱風,且強度遠超山陀兒、康芮巔峰,成為今年風王。

  • 天兔不排除登陸 戴立綱曝3走法 北方冷高壓是關鍵

    天兔不排除登陸 戴立綱曝3走法 北方冷高壓是關鍵

    天兔颱風目前位於關島西方海面,持續往西北方向前進,周四、五(14、15日)開始北轉,後續路徑不確定性大,中天新聞氣象主播戴立綱分析3種可能走向,關鍵在於北方冷高壓南下的時間,若下來得快,颱風就會從台灣東方外海通過;下來得慢一點,颱風可能進來台灣;若冷高壓下來得快且涵蓋在台灣上空,颱風則會持續朝西,朝海南島前進。

  • 天兔颱風遲不生成!菲律賓成最大苦主 專家:後續有得看

    天兔颱風遲不生成!菲律賓成最大苦主 專家:後續有得看

    目前西北太平洋即將出現史上首次11月四颱並立,熱帶低壓TD29卻遲遲未轉為颱風「天兔」。氣象專家吳聖宇分析,如果天兔在12至24小時內不出現,史上第一次11月的四颱並立就有點岌岌可危,且天兔颱風的路徑預報也呈現分期,「看來後續到底會如何還有得看了」。

  • 3颱假動作 準「天兔」最可能襲台 轉向關鍵時間曝

    3颱假動作 準「天兔」最可能襲台 轉向關鍵時間曝

    位於關島西南方海面的熱帶性低氣壓TD29,氣象署表示,今天(11日)有機會增強成第25號颱風「天兔」,氣象專家林得恩指出,未來天兔颱風最可能影響台灣,預估周四(14日)抵達菲律賓呂宋島附近後可能轉向北上,主要影響的關鍵有2個,包括太平洋高壓減弱,以及北方高空槽線東移。

  • 近30年首見!秋天4颱鼎立 天兔可能影響台灣

    近30年首見!秋天4颱鼎立 天兔可能影響台灣

    西北太平洋上目前有3個颱風,銀杏、桔梗以及萬宜,另外還有一個低氣壓94W。氣象專家林得恩表示,94W未來幾天可能發展為熱帶性低氣壓或颱風,據國際命名,若成颱將是今年第25號颱風「天兔」,初步看來未來天兔將是4個颱風中,路徑最有機會影響台灣。

  • 迎新一波東北季風!下周北東轉濕涼 明後2天挑戰四旋共舞

    迎新一波東北季風!下周北東轉濕涼 明後2天挑戰四旋共舞

    明天(10日)基隆北海岸、桃園以北及宜蘭地區有局部短暫雨,花東地區及恆春半島偶有零星雨勢,新竹以南地區及澎湖、金門、馬祖為多雲到晴。氣象署表示,下周二、三晨(12日、13日)東北季風影響,水氣增多,迎風面桃園以北、東半部地區及恆春半島有局部短暫雨,17日有另一東北季風逐漸南下,北部及東北部天氣轉涼。另氣象粉專也指出,11月恐會出現四旋共舞的情況,主要是異常強盛的太平洋高壓,頂住北方西風系統,讓熱帶擾動持續發展。

  • 真會4颱共舞?鄭明典曝「銀杏」驚人現況 機率非常高

    真會4颱共舞?鄭明典曝「銀杏」驚人現況 機率非常高

    颱風桔梗、萬宜在今(9日)下午2時正式生成,加上侵襲菲律賓呂宋島後仍活躍的銀杏颱風,西太平洋出現罕見11月同時存在3颱情形,加上關島東南方的94W未來幾天內有機會也「變身」天兔颱風,屆時恐出現4颱共舞畫面。

  • 三颱共舞!桔梗、萬宜颱風接力生成 日氣象廳曝最新路徑

    三颱共舞!桔梗、萬宜颱風接力生成 日氣象廳曝最新路徑

    「銀杏」颱風今天(9日)通過菲律賓,目前位置在南海,據日本氣象廳表示,熱帶性低氣壓TD27在下午2點增強為今年第23號颱風「桔梗」,目前路徑朝呂宋島北部前進;而TD28也在差不多時間生成今年第24號颱風「萬宜」,預估也會持續向西移動。當前出現銀杏、桔梗、萬宜三颱共舞的情況。

  • 下周恐3颱生成 專家揭1路徑「往北勾朝台灣接近」

    下周恐3颱生成 專家揭1路徑「往北勾朝台灣接近」

    立冬已過,但熱帶洋面仍十分熱鬧,天氣粉專「觀氣象看天氣」指出,今天(9日)西北太平洋上有4個熱帶系統發展,包括銀杏颱風和擾動92W、93 W及94W,預估3個擾動明、後天(10、11日)都有增強成颱風的機會,其中93W和94W在下周後期西移到菲律賓東方近海時,若剛好冷高壓南下,有機會被往北勾走,往台灣方向接近。

  • 熱帶擾動排排站!專家曝「下周恐有1到2個颱風」:不排除發展強大

    熱帶擾動排排站!專家曝「下周恐有1到2個颱風」:不排除發展強大

    今年即便到了11月,颱風還是不斷生成。不只一個氣象粉專觀察到,目前太平洋上出現熱帶擾動排排站的情況,下周有機會再生成1到2個颱風。氣象專家吳聖宇分析,這些熱帶擾動只要環境條件還不差就有機會發展,有時候還會發展到意外的強大,但周邊環境有些變化,路徑就可能會跟著出現改變。

  • 下周一口氣長3颱風?專家曝路徑:往西機率較大

    下周一口氣長3颱風?專家曝路徑:往西機率較大

    銀杏颱風持續以偏西方向進入南海,不直接影響台灣。近期菲律賓東方外海至關島一帶環境有利熱帶系統發展,氣象專家賈新興表示,下周至少會有2、3個熱帶低壓或颱風生成,路徑以往西走的機率較大,應持續觀察。

  • 東北季風加銀杏環流 3地炸雨 下周可能還有颱風

    東北季風加銀杏環流 3地炸雨 下周可能還有颱風

    今天東北季風加上銀杏颱風外圍雲系影響,基隆北海岸、東半部及大台北山區有大雨,東北部留意豪雨。明、後天(9、10日)周末假期東北季風減弱;下周一至周三(11日至13日)東北季風再增強,桃園以北及東半部有雨。中央氣象署表示,近期菲律賓東方至關島附近洋面是大低壓區環境,是否有熱帶性低氣壓或颱風,將密切觀察。

  • 強颱銀杏直奔菲律賓!粉專驚:真的適合「跨海種綠電」嗎?

    強颱銀杏直奔菲律賓!粉專驚:真的適合「跨海種綠電」嗎?

    中央氣象署觀測,今年第22號颱風銀杏7日下午已升級為強烈颱風,未來路徑以偏西的方向逐漸進入南海,直接影響台灣的機率不高。14時的銀杏颱風中心位置在菲律賓北側。粉專「高雄林小姐」見銀杏路徑,質疑菲律賓颱風比台灣多、災情比台灣慘,真的適合政府跨海去種綠電嗎?

  • 銀杏升級強烈颱風 外圍雲系影響1地炸豪雨

    銀杏升級強烈颱風 外圍雲系影響1地炸豪雨

    中央氣象署觀測,今年第22號颱風銀杏今(7)日下午已升級為強烈颱風,未來路徑以偏西的方向逐漸進入南海,直接影響台灣的機率不高,不過可能帶來沿海長浪、強風及迎風面較強的降雨,今晚起東北部地區有局部豪雨發生的機率。

  • 大低壓區來了!專家示警:周末還有2熱帶系統生成

    大低壓區來了!專家示警:周末還有2熱帶系統生成

    今天是24節氣的立冬,中颱銀杏今天(7日)向西通過呂宋島北部,之後進入南海,氣象專家賈新興表示,要注意周六、周日還有2個熱帶系統發展,分別位在菲律賓東方以及關島東方海面的大低壓區,加上銀杏,屆時海面上將有3個熱帶系統,其中菲律賓東方海面的熱帶系統可能增強成颱風,大約下周三、下周四起影響台灣天氣。

  • 下周又有新颱風?專家:不排除接近台灣

    下周又有新颱風?專家:不排除接近台灣

    中颱銀杏不侵台,共伴效應也不明顯,不過今、明(7、8日)兩天受東北季風及銀杏外圍環流雙重影響,迎風面北部及東半部有大雨或豪雨。氣象專家表示,未來一周西北太平洋持續有熱帶擾動或颱風發展,不排除路徑有比較靠近台灣的機會,應持續觀察。

  • 立冬15.1度 銀杏外圍挾水氣 今3地豪、大雨

    立冬15.1度 銀杏外圍挾水氣 今3地豪、大雨

    今天是24節氣的立冬,清晨偏冷,最低溫在新北石碇15.1度,受東北季風影響,桃園以北及宜花地區有局部短暫雨,晚上開始銀杏颱風外圍雲系移入,北部及東半部降雨增多,基隆北海岸、宜花及大台北山區易出現大雨,東北部有豪雨機率,持續到明天(8日)。周六、日(9、10日)水氣略減,北海岸、東北部有局部短暫雨;下周一至周三(11至13日)另一擾動通過呂宋島附近,東半部水氣再增加。

  • 不只銀杏?戴立綱揭還有颱風在醞釀 未來路徑曝光

    不只銀杏?戴立綱揭還有颱風在醞釀 未來路徑曝光

    颱風銀杏近日在菲律賓附近,但氣象署觀測到,近期菲律賓東方至關島附近之熱帶洋面為有利熱帶系統發展的大低壓區環境。對此,中天新聞氣象主播戴立綱分析,後面還有2個熱帶系統可能會發展起來,但由於受到冷空氣影響,基本上都不會靠近台灣。

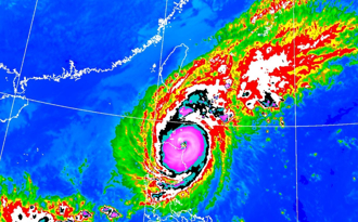
  • 鄭明典曬1圖 銀杏颱風上面「一大片雲系」對台影響曝

    鄭明典曬1圖 銀杏颱風上面「一大片雲系」對台影響曝

    菲律賓東方海面的中颱銀杏將持續朝西進行,不會侵襲台灣,前中央氣象局長鄭明典貼出衛星雲圖,只見銀杏的東北方有整片共伴雲系,是颱風外圍偏東風和東北季風相遇產生的雲系,銀杏颱風雲系距離台灣尚遠,目前看來影響有限。中央氣象署表示,颱風外圍環流仍會帶來水氣,周五至周日(8至10日)北部及東半部有大雨機率。

  • 銀杏颱風各國路徑一致了 2地雨連炸5天

    銀杏颱風各國路徑一致了 2地雨連炸5天

    銀杏颱風今天清晨2點位於鵝鑾鼻東南方640公里海面上,向西北西進行,各國預測接下來將轉西、通過菲律賓呂宋島近海,氣象專家吳德榮表示,銀杏周五(8日)進入南海,接下來不確定性加大;雖然颱風不侵台,不過周五至下周二(12日)北部、東半部水氣增多,有大雨機率。

回到頁首發表意見