气象署持续发布颱风小犬海上陆上颱风警报,预估今晚中心会通过兰屿、绿岛,稍晚针对2地发布强风灾防告警讯息;未来24小时是雨势最明显的时间,东半部都有豪雨以上等级降雨。
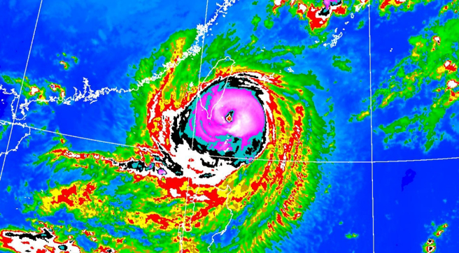
根据中央气象署颱风警报单,中度颱风小犬今天下午5时的中心位置在北纬22.1度,东经122.4度,即在鹅銮鼻的东方约160公里海面上,以每小时10公里速度,向西北西转西进行;中心气压940百帕,近中心最大风速每秒45公尺,七级风平均暴风半径250公里。
气象署持续发布小犬海上陆上颱风警报,陆上警戒区包含宜兰、花莲、台东、南投、新竹、苗栗、台中、彰化、云林、嘉义、台南、高雄、屏东、恒春半岛、澎湖等;海上包含台湾东半部海面、台湾海峡、巴士海峡及东沙岛海面。
气象署预报员朱美霖表示,颱风小犬结构扎实,今天晚间中心将通过兰屿、绿岛一带;但由于接近的过程路径可能会受到陆地影响,目前预测明天白天中心会通过台湾南端陆地或巴士海峡。
朱美霖指出,颱风小犬逐渐接近,北台湾、宜花东都有间歇性降雨;未来24小时会是雨势最明显的时间,东半部都有豪雨以上等级的降雨,东南部山区可能达超大豪雨。
朱美霖提醒,颱风外围环流及海峡地形效应影响,东部、东南部、恒春半岛、桃园以南沿海空旷地区及澎湖、金门、马祖易有9至11级强阵风;今天兰屿已出现13级强阵风,台东成功、澎湖东吉岛也出现10级阵风;稍晚会针对兰屿、绿岛发布强风告警讯息。
朱美霖说,今天下午至明天台湾附近各海面及巴士海峡风浪明显增大,基隆北海岸、东半部、西南部及恒春半岛沿海易有5公尺以上浪高,尤其兰屿、绿岛易有7公尺以上浪高;基隆北海岸、东半部、恒春半岛及马祖有长浪。(编辑:李亨山)1121004
发表意见
中时新闻网对留言系统使用者发布的文字、图片或檔案保有片面修改或移除的权利。当使用者使用本网站留言服务时,表示已详细阅读并完全了解,且同意配合下述规定:
违反上述规定者,中时新闻网有权删除留言,或者直接封锁帐号!请使用者在发言前,务必先阅读留言板规则,谢谢配合。