中颱「蒲公英」在琉球東南方海面,向北北西前進,強度已過顛峰,但氣象專家吳德榮表示,蒲公英在雙眼牆的置換過程,強度有稍增強,延緩減弱的速度,未來在日本南方海面大迴轉,無侵台機率。而台灣下波變天時間落在周五至下周一,屆時高壓減弱、水氣增多,東半部有雨,各地山區、部分平地午後有強對流發展。

蒲公英颱風未來朝日本東南方海面前進,周三至周五基隆北海岸、東半部及恆春半島沿海易有長浪發生的機率。(翻攝自氣象局)
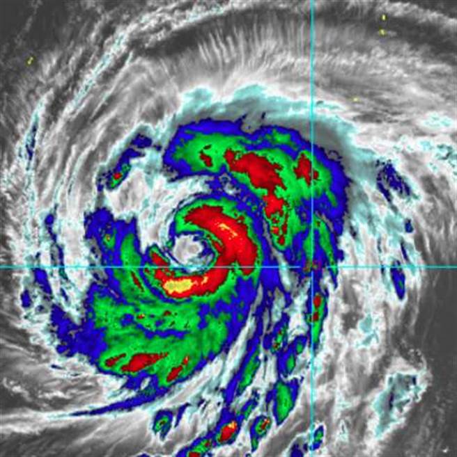
蒲公英颱風未來朝日本東南方海面前進,周三至周五基隆北海岸、東半部及恆春半島沿海易有長浪發生的機率。(翻攝自氣象局)

中颱「蒲公英」今天凌晨2時中心位於台北東南東方1610公里的海面上,向北北西前進,吳德榮在「三立準氣象· 老大洩天機」專欄指出,蒲公英的強度已過顛峰,但因進行雙眼牆的置換過程,有稍增強再減弱的變化,將延緩其減弱的速度,未來在日本南方海面大迴轉,無侵台機率。

近日天氣方面,吳德榮表示,今天受微弱東北風影響,迎風面北海岸、東半部偶有局部短暫雨。背風面中南部天氣炎熱,高溫36度,山區午後偶有降雨機率。周三、四(29、30日)太平洋高壓增強,水氣減少,全台晴朗炎熱,高溫36度,山區午後偶有零星降雨。

吳德榮表示,接著周五、六(10月1、2日)太平洋高壓減弱,不穩定度提高,全台山區午後有強對流發展,擴及部分平地,北台灣高溫略降。周日、下周一(10月3、4日)東半部水氣多,有局部短暫雨,西半部則是晴朗炎熱,中南部山區午後有雷陣雨。

#颱風 #蒲公英雙眼牆 #午後雷陣雨 #變天 #降溫